Tre persona kanë humbur jetën në Xhamajka, teksa vendi përgatitet për stuhinë më të fortë të vitit 2025 dhe ndoshta më të fortën të regjistruar ndonjëherë në ishull.

Meteorologët amerikanë paralajmërojnë për kushte “katastrofike dhe kërcënuese për jetën”.

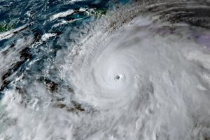
Me shpejtësi ere deri në 282 km/orë, uragani “Melissa” bën pjesë në karegorinë pesë të stuhive, raporton BBC

Mediat e huaja raportojnë se stuhia po intensifikohet dhe pritet të arrijë në ishullin e Karaibeve këtë të martë.

Gjithashtu mësohet se janë regjistruar katër vdekje në Haiti dhe Republikën Dominikane.

Ekspertët paralajmërojnë se ritmi i ngadaltë i uraganit mund të shkaktojë shira të rrëmbyeshëm të zgjatur në disa zona, duke rritur rrezikun e përmbytjeve vdekjeprurëse dhe rrëshqitjeve të dheut.

Të dhënat më të fundit nga Qendra Kombëtare e Uraganeve (NHC) me seli në SHBA tregojnë se për sa i përket erës maksimale dhe presionit të ulët qendror, Melisa është stuhia më e fortë në botë deri më tani këtë vit.

Me fuqinë e tij aktuale, ky do të ishte uragani më i fortë që do të godasë Xhamajkën që nga fillimi i regjistrimit së të dhënave në vitin 1851

Leave a Reply

Adresa juaj email s’do të bëhet publike. Fushat e domosdoshme janë shënuar me një *

*